Dy tajfunë të fuqishëm po kërcënojnë seriozisht Gadishullin e Koresë, pritet që vendet të përfshihen nga një valë e fortë ere dhe përmbytjesh.
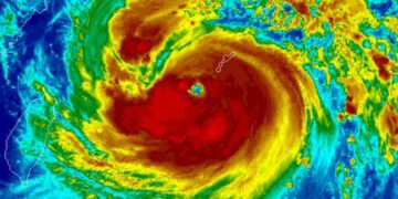
Tajfuni Maysak i cili aktualisht është ekuivalent me një uragan të Kategorisë 4 – pritet të zbresë në pjesën jugore të Gadishullit Korenë të mërkurën në mbrëmje, me kohën lokale. Stuhia aktualisht ka erëra 130 milje në orë (215 kilometra në orë) por pritet të dobësohet në një stuhi të Kategorisë 2 me erëra rreth 99 deri në 108 mph (160 deri 175 kph) deri në kohën kur do të zbarkojë në Gadishullin Korean.
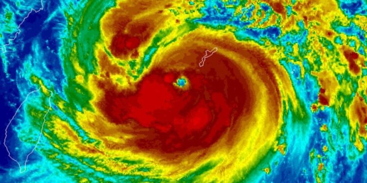
Ndërsa Stuhia Tropikale Haishen pritet të forcohet në një tajfun brenda 24 orëve të ardhshme, përpara se të bëhet ekuivalente e një uragani të Kategorisë 4 deri në fund të javës dhe të jetë një nga 3 më të fuqishmit që ka goditur Korenë që nga 70-vite që janë bërë regjistrime
Administrata Meteorologjike e Koresë (KMA) pret që Koreja e Jugut të goditet nga reshje të mëdha shiu dhe erëra të forta ndërsa Agjencia Qendrore Koreane e Lajmeve (KCNA) e Koresë së Veriut njoftoi të mërkurën se “masa urgjente po merren për minimizimin e dëmit”.
















